农村家里常出现的几种虫子,叫出两种算你厉害
农村家里常出现的几种虫子,叫出两种算你厉害
农村老房子只有一层,地面也是泥土石块啥的,墙也有缝,于是钻进蛇,老鼠和一些虫子就不足为怪了。住在农村的你可能经常见到它们,但是,嗯?好像叫不出名字。
1.灶马
一般我们叫蝗虫那一类虫子叫“灶马鸡”,然后我说这东西是灶马你会不会觉得怪怪的。然而它的确就叫灶马,经常出没于灶台附近,爬过就是一道痕迹。也或是阴暗的角落,比如床底下靠近墙的地方,阴暗的门后面。关于它还有一个趣事,大家都听说过“蛛丝马迹”这个词语,其实其中的“马”指的是灶马。

2.鼠妇
这种虫子经常呆在阴暗潮湿的地方,比如你家米桶下面,石块下面。一搬开遮挡物,它们就跑了。然而有多少人知道它们叫鼠妇?

3.土元
这家伙长的跟鼠妇很相似,如果你家收了粮食堆在墙角,可能里面就会有几只土元。它们喜欢吃粮食,也喜欢呆在阴暗潮湿的地方。现在有人专门养殖,药用价值挺大的。

4.蚰蜒
很多人管它叫蜈蚣,其实它不是蜈蚣哈。这种虫子喜欢呆在房前屋后阴暗处,比如你家柴火堆,你家瓦片缝隙里。捕食小动物,比如蜘蛛,蟑螂,蚊子等。,算是益虫。抓住它它会自断脚来自保,但它们也会咬人,也有毒,但是不致命。还记得《盗墓笔记》里面的蚰蜒吗?成群结队还剧毒,跟尸鳖差不多,其实不是那样啦。

4.长脚盲蛛
它们长着又长又细的腿,身体只有一点儿,撑在墙上晃悠身子,不结网,不咬人。一般生活在阴暗的地方,抓住它们它们的脚就掉了。它们主要吃小昆虫和植物。

5.蜾赢
是一种寄生蜂,常筑巢在竹管,墙缝,屋檐等地方。记得小时候墙上有个缠线的竹管,这种小虫就在里面做窝了。蜾赢俗称螟蛉虫,因为它会把螟蛉幼虫抓来放在它窝里,古时候人们认为那是蜾赢在养别人的孩子,于是把收养的孩子称作“螟蛉之子”。然而事实是,蜾赢把螟蛉幼虫抓来弄得半死不活,在他们身体里产卵,然后把螟蛉虫封在泥房里,等自己的孩子出来好有东西吃。

6.龙虱
也叫水甲虫,水鳖虫。家里的水缸总是莫名其妙出现这种虫子,游动起来很好看,于是都被我抓来养在瓶子里看了,这种虫子会飞。

7.叩头虫
经常扫地的时候会在扫出来的渣渣里面看见它。抓起来,它就一直点头,发出“咔咔”的声音。肚子朝天放在地方,它一点头就蹦起来了,蹦的老高了。

8.蠼螋
喜欢阴暗潮湿的地方,尾巴像剪刀。在家里厕所之类的地方可以发现它们。

9.赤拟谷盗
家里米桶里面会有,吃粮食的虫子。告诉我你是不是管它叫米虫?

10.划蝽
家里水缸或者是水田常有,凌波微步一样水上漂,不会沉下去,动作还十分快。不认识的人一律称作“水蜘蛛”。

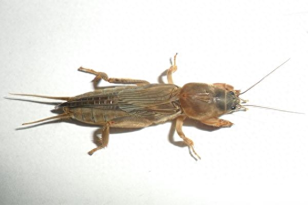
11.蝼蛄
告诉我你是不是叫它土狗,的确它的俗称是土狗。夜里有灯,蝼蛄可能会飞来打灯,平时经常出没于田埂泥土中。力气很大,用两只力量巨大的前脚挖洞,农民很讨厌,因为它挖了,水田就漏水了。

这么多虫子,你认得几种呢?
标签:
